Obstrução intestinal nos cães
Em algum momento das suas vidas, muitos cães irão engolir um brinquedo. No pior dos casos, isto pode provocar-lhes obstrução intestinal. Neste artigo, irá perceber quais as implicações da obstrução intestinal nos cães para a saúde destes patudos.

© DoraZett / stock.adobe.com
Os cães mais jovens correm especial risco de morder brinquedos e engolir determinadas partes.
Sumário
- A obstrução intestinal nos cães é perigosa?
- Sintomas: como se torna evidente a obstrução intestinal nos cães?
- Diagnóstico: como é que o veterinário identifca uma obstrução intestinal num cão?
- Tratamento: como se trata a obstrução intestinal nos cães?
- Causas: o que desencadeia a obstrução intestinal nos cães?
- Prognóstico: quais as possibilidades de recuperação?
- Prevenção: como evitar obstrução intestinal nos cães
A obstrução intestinal nos cães é perigosa?
Infelizmente, são vários os casos de cães que morrem devido a obstrução intestinal (íleo) detetada demasiado tarde. Quando o quimo deixa de conseguir passar pelos intestinos, o trato gastrointestinal fica bloqueado. Um primeiro sinal da obstrução intestinal nos cães são os vómitos.
Portanto, se os conteúdos que estiverem no estômago criarem gases, o estômago acaba por dilatar (dilatação gástrica). Além disso, se o bloqueio comprimir gradualmente as veias em redor, o animal corre perigo de entrar em choque fatal, incluindo falência multiorgânica.
Sintomas: como se torna evidente a obstrução intestinal nos cães?
São vários os sinais que indicam que o seu cão pode estar a sofrer de obstrução intestinal. Embora não tenham que surgir todos, os principais sintomas são:
- O cão mostra-se mole mas inquieto ao mesmo tempo.
- Saliva muito mais do que o habitual, engasga-se ou vomita.
- Não tem vontade de comer ou deixa de defecar.
- Tem diarreia ou prisão de ventre.
- A parede abdominal do cão está tensa.
- Quando tocado, o animal reage de forma agressiva ou com hipersensibilidade, algo fora do comum.
- Mostra sinais de dores de estômago.
- Tem febre.
Quando os cães desenvolvem obstrução intestinal, os sintomas mencionados dependem de diversos fatores. Falamos da extensão, localização e causa da obstrução. Portanto, se o seu patudo apresentar um ou mais dos sintomas referidos, deve procurar a ajuda do veterinário.
Todas as informações que possa transmitir ao veterinário são importantes para que este consiga identificar a causa para o problema e, claro, ajudar o seu cão tão depressa quanto possível. Assim sendo, no caminho para o consultório vá pensando no comportamento alimentar e de defecação do animal.
© julien leiv / stock.adobe.com
Os cães com obstrução intestinal conseguem defecar?
Se o seu cão consegue ou não defecar em caso de obstrução intestinal é algo que depende da localização do bloqueio.
Portanto, se a obstrução se localizar numa parte frontal do intestino (por exemplo, na transição do estômago para o intestino delgado) é possível que o animal consiga defecar por algum tempo. Mas é importante não descartar a hipótese de obstrução intestinal. Ao suspeitar do problema, consulte sempre um veterinário.
Quando é que devo ir ao veterinário?
Se as extremidades do seu cão estiverem frias (orelhas ou patas, por exemplo), se o animal estiver a tremer ou até mesmo perder a consciência, é tempo de agir.
Perante estes sintomas, o animal pode correr perigo de vida e apenas o seu veterinário pode ajudá-lo. Nesta situação, todos os segundos contam.
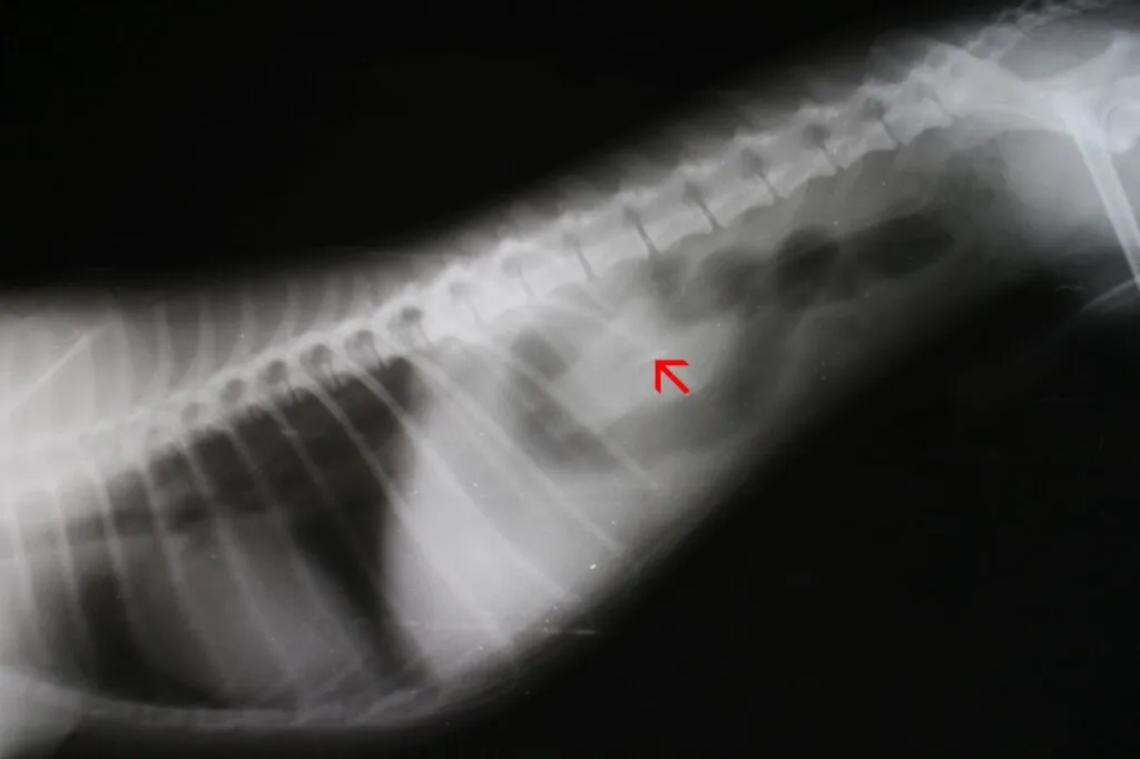
Diagnóstico: como é que o veterinário identifca uma obstrução intestinal num cão?
Chegados ao veterinário, é o estado atual do cão que orienta as medidas a tomar. Portanto, se o animal estiver inconsciente ou em risco de choque, o veterinário tem que tomar medidas de emergência. Se não for esse o caso, pode fazer a avaliação do patudo. Para tal, durante a entrevista clínica com o dono, avalia sinais vitais importantes como a frequência cardíaca e o estado das mucosas.
Exames de imagiologia, como ecografia ou radiografia com contraste, também podem ajudar o veterinário a identificar a causa da obstrução intestinal do cão. Pois todos os dados obtidos são necessários para o melhor planeamento dos procedimentos cirúrgicos em questão.
© dalajlama / stock.adobe.com
Tratamento: como se trata a obstrução intestinal nos cães?
O tratamento da obstrução intestinal nos cães depende da causa. Portanto, se levar o seu patudo ao veterinário em emergência, o médico terá provavelmente que intervir cirurgicamente. Porém, existem medicamentos e medidas conservadoras que também podem aliviar o sofrimento do animal:
- Remoção do bolo alimentar usando uma sonda gástrica
- Infusão intravenosa (incluindo eletrólitos)
- Medicamentos para a naúsea e vómitos (antieméticos)
- Analgésicos
- Medicamentos para estimular a peristalse
Além disto, também a localização da obstrução intestinal é decisiva para a escolha das medidas terapêuticas.
Custos: qual o valor da cirurgia para tratar a obstrução intestinal nos cães?
Os custos dependem, então, de vários fatores. Em primeiro lugar, quanto maior for o cão, mais medicação será necessária. Além disto, a hora em que o animal tem que ser operado também tem importância.
Porque fora das horas de funcionamento habituais, o veterinário pode cobrar uma taxa adicional. Aliás, também a causa da obstrução intestinal pode influenciar o curso da operação e, portanto, os custos.
Tendo em conta que o valor pode rapidamente ser superior a 1000 euros, é recomendável pensar em fazer um seguro para a operação. Mas, de qualquer modo, o dinheiro gasto na saúde do seu patudo é um bom investimento.
Causas: o que desencadeia a obstrução intestinal nos cães?
Os veterinários dividem a obstrução intestinal (íleo) em incompleta (subíleo) ou total. Portanto, o estreitamento pode ser causado pela invaginação do intestino. O vólvulo, por outro lado, é a torção patológica de certas secções do intestino.
Regra geral, a obstrução intestinal nos cães pode ocorrer em diversos pontos no intestino. Pórem, as obstruções do intestino delgado ocorrem com mais frequência em cães do que as obstruções do intestino grosso. Os cães adultos são tão afetados quanto os cachorros ou os cães seniores. Além disto, também a raça do cão influencia o desenvolvimento deste problema, além da forma como ocorre.
Tendo em conta que são muitas as potenciais causas de obstrução intestinal nos cães, os especialistas dividem-nas em dois grupos principais.
Obstrução intestinal mecânica
Íleo mecânico
Quando uma obstrução intestinal aperta a camada interna da parede do intestino (lúmen intestinal), trata-se, então, de um íleo mecânico. Em consequência, o conteúdo do intestino deixa de conseguir passar através do intestino. Portanto, nestes casos é possível que um tumor, por exemplo, esteja a pressionar o intestino a partir do exterior (obstrução).
Além disto, pedaços de osso (caso o animal coma muitos ossos, por exemplo) ou corpos estranhos (castanhas, por exemplo) podem obstruir o intestino (obturação). Aliás, os apertos (invaginação ou torção do intestino, por exemplo) podem ser o resultado de inflamação intestinal. Estes, por sua vez, podem provocar estrangulamento e, em consequência, um íleo no seu cão.
Obstrução intestinal orgânica
Íleo paralítico
Os músculos intestinais do seu cão são importantes para a sua digestão. Então, se algo os estiver a afetar, o animal pode não conseguir manter a peristalse. A paralisia dos músculos é muitas vezes causada pela inflamação dos órgãos próximos. Portanto, pode ser consequência da inflamação do pâncreas (pancreatite) ou do peritoneu (peritonite).
Porém, a paralisia intestinal também é comum após uma cirurgia. Além disso, não nos devemos esquecer dos distúrbios metabólicos e de casos de envenenamento (plantas venenosas, por exemplo).
Prognóstico: quais as possibilidades de recuperação?
Não se brinca com uma obstrução intestinal. Porque se o problema for descoberto demasiado tarde, as complicações decorrentes podem ser fatais para o animal.
Se suspeita que o seu cão ingeriu um objeto estranho de grandes dimensões ou existem outros sinais de obstrução intestinal, há uma regra que deve seguir: mais vale ir ao veterinário vezes a mais do que vezes a menos.
Prevenção: como evitar obstrução intestinal nos cães
Nem sempre é possível evitar este problema de saúde. Mas com apenas algumas dicas consegue reduzir o risco de obstrução intestinal. Portanto, se o seu cão gosta naturalmente de pôr coisas na boca, deve evitar deixar pequenos objetos perto dele sem supervisão.
Além disso, escolha brinquedos que o cão provavelmente não conseguirá destruir. Para evitar situações de envenenamento no jardim ou dentro de casa, deve optar por não ter plantas venenosas em casa.
Fontes: